Descrizione:
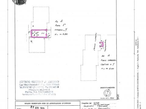
A Riva Ligure (Im), denominto CUORE BLU della Riviera dei Fiori, comune tranquillo della riviera di Ponente, tra Santo Stefano al mare e Arma di Taggia, collegati dalla ciclovia del Ponente di 12 chilometri, ricavata dal vecchio tracciato ferroviario, comune assegnatario da sei anni della BANDIERA BLU sulla qualità del mare, su strada Casai, a 250 metri dal mare, si VENDE nel complesso LE DUE MAGNOLIE al piano 1°, un appartamento composto da:
iINGRESSO, MONOLOCALE CON ANGOLO COTTURA, BAGNO ed è dotato di CANTINA
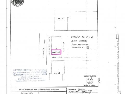
POSTO AUTO SCOPERTO di PROPRIETA'
terrazzino vista mare
aria condizionata
riscaldamento autonomo
spese condominiali mensili € 38,00
Abitazione censita al catasto di Riva Ligure (Im) H328, Categoria A/2, classe 2, vani 2,5, rendita catastale € 254,00
Posto auto censito al catasto di Riva Ligure (Im) H328, Categoria C/6, classe 1, rendita catastale € 43,74
ATTICO SISTEMI. Dal secolo scorso di casa a Torino













,
,
,
,
,
,
,
,
, 
, 