Descrizione:
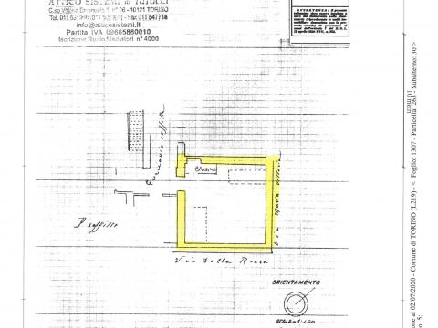
Nel quartiere centro, a due minuti a piedi da piazza Vittorio Veneto, sull'elegante via della Rocca, in uno stabile d'epoca rivisto nelle parti comuni, con portineria e ascensore sino al piano 4°, al 5° e ultimo piano, si AFFITTA un appartamento mansardato, composto da:
MONOLOCALE CON ANGOLO COTTURA E BAGNO,
COMPETAMENTE E OTTIMAMENTE RISTRUTTURATO e ARREDATO A NUOVO
è presente lavatrice,
esposto su due vie con splendida vista del Monte dei Cappuccini e della collina torinese,
serramenti con doppi vetri,
dotato di porta blindata
riscaldamento autonomo
spese condominiali mensili € 150,00 comprensive di un servizio di portineria,part-time
contratto legge 431/98 e la proprietà aderisce al regime fiscale della cedolare secca: senza spese aggiuntive per l'imposta di registro, per i bolli né aumenti ISTAT del canone per tutta la durata contrattuale.
ATTICO SISTEMI. Dal secolo scorso di casa a Torino



